Amtliche Bekanntmachung
Amtliche Bekanntmachung der Stadt Ober-Ramstadt
Betr.: Bauleitplanungen der Stadt Ober-Ramstadt;
22. Änderung des Flächennutzungsplanes im Bereich „Solarpark An der Einspacher Höhe“ sowie Bebauungsplan „Solarpark An der Einspacher Höhe“ in Ober-Ramstadt
hier: Bekanntmachung der förmlichen Beteiligung der Öffentlichkeit zur Entwurfsplanung gemäß § 3 Absatz 2 Baugesetzbuch (BauGB)
Die Stadtverordnetenversammlung der Stadt Ober-Ramstadt hat in ihrer Sitzung am 23.10.2025 zunächst die im Rahmen der frühzeitigen Beteiligung der Öffentlichkeit gemäß § 3 Absatz 1 BauGB sowie der frühzeitigen Beteiligung der berührten Behörden und sonstigen Träger öffentlicher Belange gemäß § 4 Absatz 1 BauGB eingegangenen Stellungnahmen zur Vorentwurfsplanung behandelt und darüber beschlossen. Anschließend wurde sowohl die Flächennutzungsplanänderung als auch der Bebauungsplan als Entwurf zur Durchführung der förmlichen Beteiligung der Öffentlichkeit gemäß § 3 Absatz 2 BauGB sowie der förmlichen Beteiligung der Behörden und sonstigen Träger öffentlicher Belange, deren Aufgabenbereich durch die Planung berührt werden kann, gemäß § 4 Absatz 2 BauGB beschlossen.
Die beiden Bauleitplanverfahren zur Änderung des Flächennutzungsplanes der Stadt Ober-Ramstadt einerseits sowie zur Aufstellung des Bebauungsplanes andererseits werden im Parallelverfahren nach § 8 Absatz 3 BauGB durchgeführt und dienen der Schaffung der planungsrechtlichen Voraussetzungen für die Errichtung einer Freiflächen-Photovoltaikanlage im Bereich der „Einspacher Höhe“ nordöstlich der Kernstadt Ober-Ramstadt, außerhalb der Ortslage.
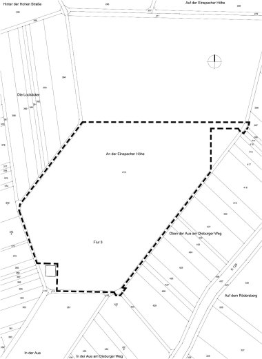
Der von der Änderung des Flächennutzungsplanes der Stadt Ober-Ramstadt betroffene Bereich besteht ausschließlich aus der eigentlichen Vorhabenfläche, auf der die Freiflächen-Photovoltaikanlage errichtet werden soll, und umfasst daher konkret nur die südliche Teilfläche des Flurstückes Nummer 412 in der Flur 3 der Gemarkung Ober-Ramstadt mit einer Größe von etwa 5,61 Hektar (ha). Die Abgrenzung des von der Flächennutzungsplanänderung betroffenen Bereiches ist in der beigefügten Abbildung 1 durch gestrichelte Umrandung gekennzeichnet.
Im Geltungsbereich des Bebauungsplanes sind neben der eigentlichen Vorhabenfläche auch zwei kleine Teilflächen des angrenzenden Wirtschaftsweges zur Sicherung der Erschließung berücksichtigt. Der Planbereich umfasst somit konkret Teilflächen der Flurstücke Nummer 412 und Nummer 413 in der Flur 3 der Gemarkung Ober-Ramstadt mit einer Gesamtgröße von rund 5,63 ha. Die Abgrenzung des Geltungsbereiches des Bebauungsplanes ist in der beigefügten Abbildung 2 durch gestrichelte Umrandung gekennzeichnet.


Es wird hiermit bekannt gemacht, dass die Entwurfsplanung zur 22. Änderung des Flächennutzungsplanes im Bereich „Solarpark An der Einspacher Höhe“ sowie zum Bebauungsplan „Solarpark An der Einspacher Höhe“ in Ober-Ramstadt, insgesamt bestehend aus der jeweiligen Planzeichnung zur Flächennutzungsplanänderung und zum Bebauungsplan mit den textlichen Festsetzungen zum Bebauungsplan (planungsrechtliche Festsetzungen nach § 9 BauGB in Verbindung mit der Baunutzungsverordnung (BauNVO) und bauordnungsrechtliche Festsetzungen (örtliche Bauvorschriften) nach § 91 Hessischer Bauordnung (HBO)) sowie der beigefügten Begründung einschließlich dem alle wesentlichen umweltbezogenen Informationen und Belange enthaltenden Umweltbericht mit den in der Begründung genannten Anlagen (Anlage 1: Bestandsplan der Nutzungs- und Biotoptypen; Anlage 2: Entwicklungsplan der Nutzungs- und Biotoptypen; Anlage 3: Eingriffs- und Ausgleichsbilanzierung; Anlage 4: Artenschutzrechtlicher Fachbeitrag; Anlage 5: Gutachten zur Frage der eventuellen Blend- und Störwirkung von Straßennutzern und Anwohnern), mit den nach Einschätzung der Stadt Ober-Ramstadt wesentlichen, bereits vorliegenden umweltbezogenen Stellungnahmen in der Zeit
von Montag, den 10.11.2025 bis einschließlich Freitag, den 12.12.2025
auf der Internetseite der Stadt Ober-Ramstadt unter https://www.ober-ramstadt.de > Menü > Stadtraum > Wohnen, Planen, Bauen > Bebauungspläne > Bebauungspläne im Verfahren (Link: https://www.ober-ramstadt.de/stadtraum/wohnen-planen-bauen/bebauungsplaene/bebauungsplaene-im-verfahren) sowie in einer Cloud (Link: https://magentacloud.de/s/SMD7esnCDpMRnSk) im PDF-Format zur Einsicht bereitgehalten wird. Der Inhalt dieser Bekanntmachung wird ebenfalls auf der Internetseite der Stadt Ober-Ramstadt unter vorgenanntem Link zur Einsicht bereitgehalten. Auf die vorgenannte Internetseite der Stadt Ober-Ramstadt mit den veröffentlichten Unterlagen und dem Inhalt der Bekanntmachung wird auch im Zentralen Internetportal für Bauleitplanungen in Hessen (Link: https://bauleitplanung.hessen.de) verwiesen.
Zusätzlich zur Veröffentlichung im Internet werden die vorgenannten Unterlagen während des oben genannten Zeitraumes im Rathaus der Stadt Ober-Ramstadt, Darmstädter Straße 29 in 64372 Ober-Ramstadt, beim Fachbereich III - Bauen, Liegenschaften und Umwelt im 2. OG, Zimmer 207, in Papierform zur Einsicht bereitgehalten, um der Öffentlichkeit noch eine andere leicht zu erreichende Zugangsmöglichkeit zu den Unterlagen zur Verfügung zu stellen.
Die Einsichtnahme im Rathaus ist während der nachfolgenden Servicezeiten ohne vorherige Anmeldung oder außerhalb dieser Zeiten nach telefonischer Terminvereinbarung unter 06154/702-300 möglich:
Montag: 13:30 bis 15:30 Uhr
Dienstag: 09:00 bis 12:00 Uhr
Mittwoch: 13:30 bis 18:00 Uhr
Donnerstag: 09:00 bis 12:00 Uhr
Freitag: 09:00 bis 12:00 Uhr
Die Öffentlichkeit wird durch die Veröffentlichung der Entwurfsplanung im Internet und die zusätzliche Möglichkeit zur Einsichtnahme im Rathaus gemäß § 3 Absatz 2 BauGB förmlich an der Planung beteiligt.
Es wird darauf hingewiesen, dass Stellungnahmen zur Entwurfsplanung während der Dauer der Veröffentlichungsfrist, d.h. innerhalb des oben genannten Zeitraumes abgegeben werden können. Stellungnahmen sollen dabei nach Möglichkeit elektronisch an den Fachbereich III - Bauen, Liegenschaften und Umwelt der Stadt Ober-Ramstadt (E-Mail-Adresse: stadtplanung@ober-ramstadt.de) übermittelt werden. Bei Bedarf können Stellungnahmen aber auch auf postalischem Weg an den Magistrat der Stadt Ober-Ramstadt, Darmstädter Straße 29 in 64372 Ober-Ramstadt, gesendet oder im Rahmen einer Einsichtnahme zur Niederschrift abgegeben werden.
Weiterhin wird gemäß § 4a Absatz 5 BauGB darauf hingewiesen, dass Stellungnahmen, die im Verfahren der Öffentlichkeitsbeteiligung nicht rechtzeitig abgegeben worden sind, bei der Beschlussfassung über den Bauleitplan unberücksichtigt bleiben können, sofern die Stadt Ober-Ramstadt deren Inhalt nicht kannte und nicht hätte kennen müssen und deren Inhalt für die Rechtmäßigkeit des Bauleitplanes nicht von Bedeutung ist.
Im Zusammenhang mit der 22. Änderung des Flächennutzungsplanes im Bereich „Solarpark An der Einspacher Höhe“ in Ober-Ramstadt wird gemäß § 3 Absatz 3 BauGB darauf hingewiesen, dass eine Vereinigung im Sinne des § 4 Absatz 3 Satz 1 Nummer 2 des Umwelt-Rechtsbehelfsgesetzes (UmwRG) in einem Rechtsbehelfsverfahren nach § 7 Absatz 2 UmwRG gemäß § 7 Absatz 3 Satz 1 UmwRG mit allen Einwendungen ausgeschlossen ist, die sie im Rahmen der Veröffentlichungsfrist nicht oder nicht rechtzeitig geltend gemacht hat, aber hätte geltend machen können.
Es wird darauf hingewiesen, dass Dritte (Privatpersonen) mit der Abgabe einer Stellungnahme der Verarbeitung ihrer angegebenen Daten, wie z.B. Name, Anschrift, Telefonnummer, E-Mail-Adresse etc. zustimmen. Gemäß Artikel 6 Absatz 1 Buchstabe c und e der Datenschutz-Grundverordnung (DSGVO) werden die Daten im Rahmen des Bauleitplanverfahrens für die gesetzlich bestimmten Dokumentationspflichten und für die Informationspflicht den betroffenen Personen gegenüber genutzt. Auf die „Datenschutzhinweise nach Artikel 13 und 14 DSGVO im Rahmen der Bauleitplanung, von Satzungen und Planungen nach dem allgemeinen Städtebaurecht“, die auf der Internetseite der Stadt Ober-Ramstadt unter https://www.ober-ramstadt.de > Datenschutz (am Ende der Startseite) > Rubrik „Fachbereich III - Bauen, Liegenschaften, Energie und Umwelt“ (Link: https://www.ober-ramstadt.de/pdf/datenschutz-fachbereich-iii-verfahren/datenschutzinformation-bauleitplanung.pdf?cid=k8d) einsehbar sind, wird ergänzend hingewiesen.
Folgende Arten umweltbezogener Informationen sind verfügbar:
Umweltbezogene Informationen aus dem Umweltbericht gemäß § 2a Satz 2 Nummer 2 BauGB zur durchgeführten Umweltprüfung nach § 2 Absatz 4 BauGB:
- Bestandserhebung, -beschreibung und -bewertung der Nutzungs- und Biotoptypen mit diesbezüglichen Bestands- und Entwicklungsplänen
- Prüfung anderweitiger Planungsmöglichkeiten
- Prüfung der zu berücksichtigenden Fachgesetze und -pläne sowie der darin festgelegten Ziele hinsichtlich folgender Betroffenheiten: Regionalplan Südhessen 2010, Flächennutzungsplan der Stadt, Landschaftsplan der Stadt, bestehende Bebauungspläne, Natura 2000-Gebiete, Überschwemmungs- und Risikoüberschwemmungsgebiete, Trinkwasserschutzgebiete, gesetzlich geschützte Biotope bzw. Lebensraumtypen, Ökokonto- und Kompensationsflächen sowie sonstige Schutzgebiete
- Beschreibung der angewandten Untersuchungsmethoden und Erläuterungen zur Zusammenstellung der erforderlichen Informationen
- Beschreibung und Bewertung der Umweltauswirkungen mit Bestandsaufnahme und Bewertung des Umweltzustandes (Basisszenario), Prognose über die Entwicklung des Umweltzustandes aufgrund der voraussichtlichen erheblichen bau-, anlage- und betriebsbedingten Auswirkungen bei Durchführung der Planung sowie Festlegung von Maßnahmen zur Vermeidung, Verringerung und zum Ausgleich vorhabenbedingter Auswirkungen im Zusammenhang mit der Lage und naturräumlichen Einordnung des Planbereiches sowie den Schutzgütern Fläche, Boden (Geologie, Bodentyp und -art, Ertragspotenzial, Acker- bzw. Grünlandzahl, Feldkapazität, Standorttypisierung für die Biotopentwicklung, Nitratrückhaltevermögen, bodenfunktionale Gesamtbewertung, Erosionsgefährdung, Archivfunktion, Bodendenkmäler, Vorbelastungen, Altlasten sowie Kampfmittel), Klima (Regional- und Geländeklima, Starkregen und Klimawandel), Grund- und Oberflächenwasser, Flora (Vegetation/Biotoptypen), Fauna (relevante Pflanzen- und Tierarten) und biologische Vielfalt (unter Betrachtung von Begrünungs- und Artenschutzmaßnahmen), Landschaftsbild, Mensch, Gesundheit und Bevölkerung (im Hinblick auf die Belange Immissionen/Emissionen, Erholung und Kampfmittel), Kultur (Kultur- bzw. Bodendenkmäler) und sonstige Sachgüter sowie den Wechselwirkungen zwischen den vorgenannten Schutzgütern
- Übersicht über die voraussichtliche Entwicklung des Umweltzustandes bei Nichtdurchführung der Planung
- Betrachtung der Auswirkungen hinsichtlich Bauphase, Betriebsphase, Abrissarbeiten, Abfälle, eingesetzte Techniken und Stoffe
- Bewertung der Planung hinsichtlich der Erzeugung erneuerbarer Energien und einer effizienten Energienutzung
- Bewertung von Störfallrisiken und der Kumulation mit den Auswirkungen von Vorhaben benachbarter Plangebiete sowie zusammenfassende Prognose zu den verschiedenen Umweltbelangen
- Prüfung und Bewertung der Eingriffe in das Schutzgut Biotope mit Festlegung und Erläuterung der Maßnahmen zum vollständigen Ausgleich durch plangebietsinterne Ausgleichsmaßnahmen mit Hilfe einer tabellarischen Eingriffs- und Ausgleichsbilanzierung durch die Gegenüberstellung der Biotopwertigkeit der Flächen im Bestand auf Basis des Bestandsplanes und im Planzustand durch Zugrundelegung des Entwicklungsplanes
- Beurteilung von Eingriff und Ausgleich zum Schutzgut Boden
- Bilanzierung externer Kompensationsmaßnahmen aufgrund der Anlage von zwei Blüh- und Brachestreifen als Habitat für die Feldlerche
- Darstellung des Gesamtergebnisses der rechnerischen Bilanzierung
- Erläuterungen zu den geplanten Maßnahmen zur Überwachung der erheblichen Auswirkungen auf die Umwelt bei Vollzug des Bebauungsplanes (Monitoring)
- Zusammenfassung der wesentlichen Inhalte und Ergebnisse der durchgeführten Umweltprüfung
Umweltbezogene Informationen aus dem artenschutzrechtlichen Fachbeitrag: - Beschreibung des Untersuchungsgebietes mit den artenschutzfachlich relevanten Gegebenheiten
- Erläuterungen zu den auf dem Bundesnaturschutzgesetz (BNatSchG) basierenden, rechtlichen Grundlagen für die durchgeführte Artenschutzprüfung
- Ausführungen zur Bestandserfassung mit Erläuterungen zur Ermittlung und Klärung des im Wirkungsraum vorkommenden, relevanten Artenspektrums
- Erläuterungen zur Abschichtung der Betrachtungsrelevanz im Hinblick auf die Artengruppen Säugetiere, Fledermausarten, Vogelarten, Reptilien, Amphibien, Libellen, Schmetterlinge, xylobionte (holzbewohnende) Käfer und Pflanzen; eine Erfassungsrelevanz bestand demnach für die Gruppe der Vogelarten und Reptilien
- Beschreibung der Datengrundlagen und Erfassungsmethoden auf Basis mehrerer Begehungen des Plangebietes im Hinblick auf die betrachtungsrelevante Taxa durch die Erfassung von Vogelarten und Reptilien im Untersuchungsraum; dabei wurden insgesamt 19 Vogelarten festgestellt, wovon bei vier Arten ein Brutverdacht bzw. -nachweis bestand und zwölf Arten als Nahrungsgäste sowie drei Arten als einmalige Gäste erfasst werden konnten; um Verbotstatbestände gemäß § 44 BNatSchG auszuschließen, war für die Feldlerche eine Einzelfallprüfung durchzuführen; trotz geeigneter Habitatverhältnisse blieb ein Nachweis von Zauneidechsen und/oder Schlingnattern aus
- Ermittlung von bau-, anlage- und betriebsbedingen Wirkfaktoren des Vorhabens
- Festlegung von erforderlichen Maßnahmen zur Vermeidung des Eintretens von artenschutzrechtlichen Verbotstatbeständen gemäß § 44 Absatz 1 BNatSchG durch vier Vermeidungsmaßnahmen und einer vorgezogenen Ausgleichsmaßnahme (CEF-Maßnahme) für die Feldlerche
- Empfehlung weiterer Entwicklungsmaßnahmen
- Ausführungen zur Konfliktanalyse sowie zur Darlegung der Betroffenheit der relevanten Arten
- Prüfbogen der formalen Artenschutzprüfung für die Feldlerche
- Zusammenfassendes Fazit, wonach unter Berücksichtigung entsprechender Maßnahmen die Verbotstatbestände des § 44 Absatz 1 BNatSchG nicht erfüllt sind und für keine nachgewiesene Art eine Ausnahmegenehmigung gemäß § 45 Absatz 7 BNatSchG erforderlich ist
- Kartierung der im Untersuchungsgebiet und in den angrenzenden Bereichen erfassten Brutvögel
Umweltbezogene Informationen aus dem Gutachten zur Frage der eventuellen Blend- und Störwirkung von Straßennutzern und Anwohnern: - Erläuterungen zum Inhalt und Umfang der durchgeführten Untersuchung hinsichtlich der Frage, ob Nutzer einer an der geplanten Freiflächen-Photovoltaikanlage vorbeiführenden Straße sowie Bewohner nahegelegener Wohngebäude (Immissionsorte) durch die Anlage in unzumutbarer Weise geblendet oder belästigt werden könnten.
- Informationen und Beschreibungen zur geplanten Photovoltaikanlage und zur Kreisstraße 129 (K 129) im Hinblick auf die für die Untersuchung zugrunde gelegten Rahmenbedingungen (Solarmodulart, -ausrichtung und -neigung, Verlauf der K 129 sowie maßgebliche topografische Daten)
- Erläuterungen zu den untersuchten Immissionsorten (Bebauungen am nordöstlichen Ortsrand von Ober-Ramstadt)
- Allgemeine Beschreibung der eventuell von Photovoltaikanlagen ausgehenden Blend- und Störwirkungen für Kraftfahrer
- Allgemeine Beschreibung der Blend- und Störwirkung (Lichtimmission) für sich in Gebäuden aufhaltende Personen
- Konkrete Untersuchung des Blend- und Störpotenzials der geplanten Photovoltaikanlage für Kraftfahrer auf der K 129 durch die Betrachtung der Sehbedingungen eines Kraftfahrers, die Auswertung anhand eines Sonnenstandsdiagramms und die Bewertung der zeitlichen Wahrscheinlichkeit der Sonnenlichtreflexion ins Auge eines Kraftfahrers mit dem Ergebnis, dass eine Kraftfahrerblendung durch die Photovoltaikanlage insgesamt ausgeschlossen werden kann
- Konkrete Untersuchung zur zeitlichen Wahrscheinlichkeit der Sonnenlichtreflexion in Richtung der Immissionsorte am nordöstlichen Ortsrand von Ober-Ramstadt unter Berücksichtigung der geometrischen Bedingungen anhand eines jeweiligen Sonnenstandsdiagramms mit dem Ergebnis, dass die „Hinweise zur Messung, Beurteilung und Minderung von Lichtimmissionen“ der Bund/Länder-Arbeitsgemeinschaft für Immissionsschutz (LAI) von der Photovoltaikanlage eingehalten werden
- Zusammenfassung der Ergebnisse, wonach bei Fahrten auf der K 129 keine Kraftfahrerblendung auftritt und die nach den LAI-Hinweisen zulässigen maximalen täglichen und jährlichen Reflexionszeiten bei allen Immissionsorten eingehalten werden, weshalb gegen die Errichtung der Freiflächen-Photovoltaikanlage mit dem geplanten Modullayout aus fachlicher Sicht nichts einzuwenden ist
- Anhang zum Gutachten mit einer Übersicht der untersuchten Blickpunkte auf der K 129 und den Immissionsorten am nordöstlichen Ortsrand von Ober-Ramstadt sowie Abbildungen des monatlichen Sonnenstandes (Sonnenhöhe und -richtung) für Ober-Ramstadt zur Bewertung der Vorbeifahrt eines Kfz auf der K 129 an der Photovoltaikanlage und zur Bewertung der Reflexionszeit zu den Immissionsorten
Zudem sind umweltbezogene Informationen zu folgenden Umweltthemen bzw. Schutzgütern über die bereits vorliegenden Stellungnahmen verfügbar:
- Schutzgut Fläche: Inanspruchnahme landwirtschaftlicher (Acker-)Flächen u.a. für die Nahrungs- und Futtermittelproduktion, landwirtschaftliche Fachplanung, befristetes Baurecht für die geplante Freiflächen-Photovoltaikanlage mit Anlagenrückbau und landwirtschaftlicher Folgenutzung, flächenschonende Anbindung an Leitungsnetz, Alternativenprüfung bzw. Standortswahl, Vorgaben der Raumordnung bzw. Regionalplanung, Flächenverfügbarkeit, Flächentausch, CO2-Speicherung, Belichtung
- Schutzgut Boden: Altlasten bzw. -flächen, Bodenschutz und diesbezügliche Maßnahmen, Bodenfunktionen, Bodengüte bzw. -wertigkeit, Bodenversiegelung, Bodenerosion, Bodenkontamination, Bodenruhe bzw. -erholung
- Schutzgut Klima: Energieversorgung und -konzept, Erzeugung erneuerbare Energie, effiziente Energienutzung, strategischer bzw. bedarfsgerechter Einsatz der erzeugten erneuerbaren Energie, Energiespeicher, alternative erneuerbare Energien, klimatische Verhältnisse bzw. Mikroklima, Luft bzw. Lufthygiene und -qualität, Kalt- und Frischluftentstehungsgebiete sowie -abflussschneisen, Energiewende und Klimawandel, Klimaschutz und -ziele
- Schutzgut Wasser: Wasserschutzgebiete, Überschwemmungsgebiete bzw. Hochwasserschutz und Starkregen, Grundwasser bzw. Grundwasserschutz und diesbezügliche Maßnahmen, Wassergefährdende Stoffen und Schadstoffeinträge, Wasserhaushalt, Oberflächengewässer bzw. Gewässerschutz, Versickerung von Niederschlagswasser
- Schutzgüter Flora, Fauna und biologische Vielfalt: Schutzgebiete nach Naturschutzrecht bzw. geschützte Lebensräume, Natur und Landschaft sowie Kompensation und diesbezügliche Maßnahmen bzw. Ausgleichsflächen, Artenschutzprüfung bzw. Artenschutz (Pflanzen und Tiere) und diesbezügliche Maßnahmen, Bepflanzung (Hecken als Randeingrünung bzw. naturnahe Grünlandansaat mit extensiver Bewirtschaftung auf der Vorhabenfläche), Beweidung, städtische Pflegeflächen, Biotopschutz bzw. -wertigkeit, Biodiversität, Umweltschutz, umweltgerechte Entsorgung, Austauschfunktionen, Beleuchtung bzw. Lichtverschmutzung
- Schutzgut Landschaft: Landschaftsplan, Sichtbarkeit der Anlage, Stadt- bzw. Landschaftsbild
- Schutzgüter Mensch, Gesundheit und Bevölkerung: Brand- und Katastrophenschutz, Wegenetz und (Nah-)Erholung, Immissionsschutz bezüglich der Emission von Lärm und elektromagnetischer Strahlung bzw. Blend- und Störwirkungen, Kampfmittel, Flugsicherung
- Schutzgut Kultur und sonstige Sachgüter: Baudenkmalschutz und -pflege, Bodendenkmalschutz und -pflege
Die Stadt Ober-Ramstadt hat die Vorbereitung und Durchführung von Verfahrensschritten gemäß § 4b BauGB auf die Schweiger + Scholz Ingenieurpartnerschaft mbB in Bensheim übertragen. Das Ingenieurbüro fungiert hierbei als Verwaltungshelfer ohne Entscheidungsbefugnis.
Ober-Ramstadt, den 24.10.2025
Für den Magistrat der
Stadt Ober-Ramstadt
gez. Tobias Silbereis, Bürgermeister

